Happiness is a butterfly, which when pursued, is always just beyond your grasp, but which, if you will sit down quietly, may alight upon you.
~Nathaniel Hawthorne
Went wandering in the yard this weekend and I caught a glimpse of an infrequent visitor to these parts – a Long-tailed Skipper, Urbanus proteus. Long-tailed Skippers are more common on our Coastal Plain and sometimes undergo northward and westward migrations (one-way, I presume) in late summer and fall. This is when we typically see them here in the Piedmont. I have seen them in our county once or twice every few years over the last decade or so.

This one was a very fresh-looking individual with tails intact and a bright blue-green color on the dorsal surface of its wings.

It was nectaring on the many Ironweed plants out front so I grabbed the camera and went out to follow it around the yard. It was mainly staying on one or two plants, but then suddenly wandered off, flitting around and alighting briefly on a variety of leaves. I recognized this as the flight of a female looking for suitable host plants on which to deposit her eggs. She will fly a lilting flight, touching down briefly to “taste” the plant with her feet (the location of some sensory cells that can detect plant chemicals). If it is not the right plant, she moves on. I wasn’t sure what the host plant was for this species so I continued to follow her as she searched. Finally, she stopped on a legume of some sort (Desmodium sp. perhaps?), tucked her abdomen for a few seconds, and flew off.

I moved over, flipped the leaf, and there it was, an egg! I am admittedly surprised to find an egg of this species this far inland, but maybe it is not as uncommon as I assume. The eggs are yellow and have some slight raised ribs coming upward from the base.

The freshness of this particular butterfly made me wonder if she had hatched from an egg here in the yard. I started looking at all the legumes I could find. I did find a couple of hatched eggs, but I am not 100% sure which species they are from, although they do resemble the general shape of those of the Long-tailed Skipper.

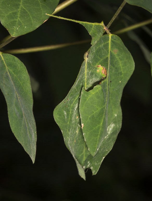
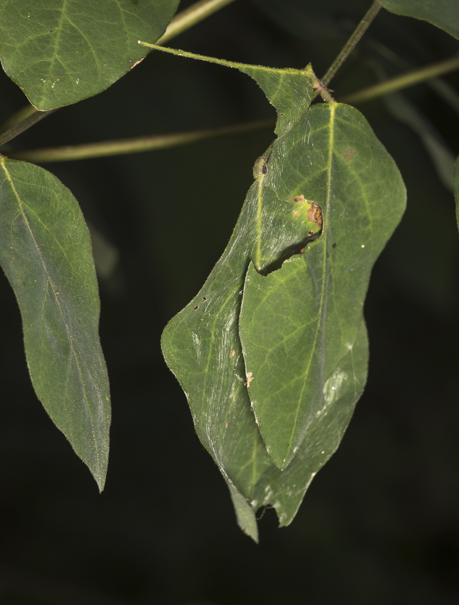
Seeing a couple of hatched eggs gave me hope that I might find a caterpillar for this species, one I have never seen. Spotting a leaf nest got me excited (I had googled the larval form of this species and saw that they form leaf nests by stitching a couple of leaves of their host pant together). I gently pulled it apart to reveal…a larva of a relative, the Silver-spotted Skipper.


Even though I was disappointed at not finding a new species of caterpillar, I must admit I always enjoy seeing the chunky little Silver-spotted Skipper larvae with those bright yellow fake eyes.

Though she stopped at a few other legume leaves, I could not find any other eggs. But, there is a good chance she laid some more so I will keep an eye out over the next few weeks to see if I can discover one of her fascinating larvae. Just before she disappeared, she stopped momentarily on a leaf in the sun, spread her wings, and soaked up a little warmth, giving me one last glimpse of this beautiful butterfly.
Leave a comment